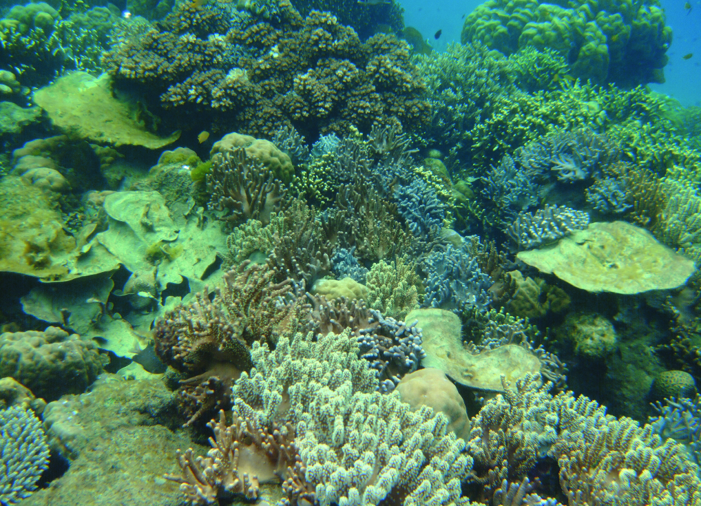
Korallenriff mit "normalen" pH-Bedingungen im Arbeitsgebiet in Papua-Neuguinea. Foto aus Fabricius, K. E. et al.: Losers and winners in coral reefs acclimatized to elevated carbon dioxide concentrations. Nat. Clim. Chang. 1, 165–169 (2011).
Karte des Arbeitsgebiets mit Orten der Probennahme und Anganben zum pH-Gradienten. Grafik aus Fabricius, K. E. et al.: Losers and winners in coral reefs acclimatized to elevated carbon dioxide concentrations. Nat. Clim. Chang. 1, 165–169 (2011).
Korallenriff unter extremen pH-Werten im Arbeitsgebiet in Papua-Neuguinea. Foto aus Fabricius, K. E. et al.: Losers and winners in coral reefs acclimatized to elevated carbon dioxide concentrations. Nat. Clim. Chang. 1, 165–169 (2011).
Korallenriff mit mittleren pH-Bedingungen im Arbeitsgebiet in Papua-Neuguinea. Foto aus Fabricius, K. E. et al.: Losers and winners in coral reefs acclimatized to elevated carbon dioxide concentrations. Nat. Clim. Chang. 1, 165–169 (2011).

Blick zurück in die Zukunft: Widerstehen Korallen sinkenden pH-Werten?

Proben aus Riffen an natürlichen Kohlendioxidquellen helfen bei Prognosen

4. August 2016/Kiel. Tropische Steinkorallen der Gattung Porites können ihren internen pH-Wert so einstellen, dass sie über einen langen Zeitraum hinweg auch unter erhöhten Kohlendioxid-Konzentrationen Kalk bilden und wachsen können. Um die Fähigkeit der pH-Regulation genauer zu verstehen, haben Forschende des GEOMAR Proben dieser Korallen, die seit Jahrzehnten an natürlichen Kohlendioxidquellen in Papua Neu Guinea existieren, mittels der Bor-Isotopie ausgewertet. Analysen dieser langfristig angepassten Individuen stellen eine wichtige Ergänzung zu kürzeren Labor- und Freilandexperimenten dar, erklärt das Team in den „Scientific Reports“. Nur so wurde deutlich, dass auch die Anpassungsfähigkeit der robusten Korallenart begrenzt ist.

Weil die Meere menschengemachtes Kohlendioxid (CO2) aus der Atmosphäre aufnehmen, sinkt ihr pH-Wert. Wie diese Veränderung in der Ozeanchemie tropische Korallenriffe beeinflusst, lässt sich anhand von Labor- oder kurzzeitigen Freilandexperimenten untersuchen. Ein Team um Dr. Marlene Wall, Meeresbiologin am GEOMAR Helmholtz-Zentrum für Ozeanforschung Kiel wählte jedoch einen anderen Ansatz: Im Rahmen des deutschen Forschungsverbunds zur Ozeanversauerung BIOACID (Biological Impacts of Ocean Acidification) untersuchten sie Korallen der Gattung Porites, die an vulkanischen Kohlendioxid-Quellen in Papua-Neuguinea leben und dort zu den dominanten Arten zählen.

„Prognosen für das Überleben von tropischen Korallen, welche durch hohe Temperaturen, zunehmende Versauerung aber auch Verschmutzung des Meerwassers gefährdet sind, gestalten sich schwierig“, erläutert Dr. Wall. „Die natürlichen Kohlendioxid-Quellen bieten uns die Möglichkeit, das Szenario der Zukunft bereits heute zu studieren. Frühere Untersuchungen haben gezeigt, dass Porites zu den Gewinnern zählen wird. Wie ihnen dies gelingt, war bis jetzt unbekannt.“

Die tropischen Steinkorallen halten ihren internen pH-Wert auf einem Niveau, bei dem sie auch unter höheren Kohlendioxid-Konzentrationen und niedrigeren pH-Werten Kalk produzieren und wachsen können – ein entscheidender Vorteil gegenüber vielen anderen Arten. So haben sie sich über Jahrzehnte unter Extrembedingungen behauptet. „Nach unseren Beobachtungen ist die pH-Regulation eine echte Schlüsselfunktion, wenn es um das Überleben unter niedrigeren pH-Werten geht“, betont Dr. Wall.  Die Erkenntnisse zur pH-Regulation der Korallen wurden jetzt im Fachmagazin Scientific Reports veröffentlicht.

Um die Fähigkeit zur pH-Regulierung besser zu verstehen, untersuchte das Wissenschafts-Team um Dr. Wall Korallen mit Hilfe der Bor-Isotopie. Bei dieser Messung werden die Skelette mit Hilfe eines Lasers beschossen und das dabei freigesetzte Material in einem Massenspektrometer analysiert. Die Isotopenzusammensetzung des im Skelett vorhandenen Elements Bor gibt dann Aufschluss über den von der Koralle intern erzeugten pH-Wert. „Dieses Verfahren eröffnet uns völlig neue Einblicke und Rückschlüsse auf die Physiologie der Korallen zum Zeitpunkt der Skelettbildung“, erläutert Dr. Jan Fietzke, Physiker am GEOMAR und Co-Autor der Studie. „Man könnte behaupten, wir blicken zurück in die Zukunft.“ Für die in der aktuellen Publikation beschriebene Studie untersuchte Fietzke das Skelett, das wenige Tage bis Wochen vor der Probennahme gebildet worden war. Vergleiche mit gleichzeitigen Messungen im Umgebungswasser bewiesen, dass die Bor-Isotopie den internen pH-Wert der Korallen wiedergab und sich dieser vom Wert des Umgebungswassers unterscheidet – folglich hat eine Regulierung stattgefunden. Auf Basis dieser Erkenntnis werden jetzt auch Bohrkerne aus Korallen ausgewertet, die mehrere Jahrzehnte alt sind. „So können wir herausfinden wann und wie schnell sie sich angepasst haben.“

Der Blick zurück in die Zukunft zeigte, dass Korallen eine bemerkenswerte Fähigkeit haben, ihre pH-Regulierung über Jahrzehnte konstant zu halten und dadurch dem globalem Wandel entgegen zu wirken. „Wir haben jedoch festgestellt, dass die Regulation nur bis zu einem gewissen Maß möglich ist. Bei Kohlendioxid-Konzentrationen, die über die für das Jahr 2100 prognostizierten Werte hinausgehen, sind Kalkbildung und Wachstum geringer – dann kommt auch der Gewinner an seine physiologischen Grenzen“, so Dr. Wall. „Unsere Ergebnisse belegen eindrücklich, wie wichtig es ist, Laborexperimente mit Langzeit-Feldstudien und Beobachtungen zu ergänzen. Kontrollierte Laborexperimente lieferten das Verständnis für die aktive pH-Regulierung, aber erst gemeinsam mit Feldbeobachtungen erlauben sie ein differenzierteres Bild über mögliche Langzeitfolgen."

Original-Publikation:
Wall, M., Fietzke, J., Schmidt, G.M., Fink, A., Hofmann, L.C., de Beer, D., Fabricius, K.E., 2016: Internal pH regulation facilitates in situ long-term acclimation of massive corals to end-of-century carbon dioxide conditions. Scientific Reports 6:30688, doi: 10.1038/srep30688


BIOACID in Kürze:
Unter dem Dach von BIOACID (Biological Impacts of Ocean Acidification) untersuchen zehn Institute, wie marine Lebensgemeinschaften auf Ozeanversauerung reagieren und welche Konsequenzen dies für das Nahrungsnetz, die Stoff- und Energieumsätze im Meer sowie schließlich auch für Wirtschaft und Gesellschaft hat. Das Projekt begann 2009 und ging im Oktober 2015 in die dritte, finale Förderphase. BIOACID wird vom Bundesministerium für Bildung und Forschung (BMBF) gefördert. Die Koordination liegt beim GEOMAR Helmholtz-Zentrum für Ozeanforschung Kiel. Eine Liste der Mitglieds-Institutionen, Informationen zum wissenschaftlichen Programm und den BIOACID-Gremien sowie Fakten zur Ozeanversauerung sind auf der Website www.bioacid.de zu finden.

Kontakt:
Maike Nicolai (GEOMAR, Kommunikation & Medien), Tel.: 0431 600-2807, presse@geomar.de

Korallenriff mit "normalen" pH-Bedingungen im Arbeitsgebiet in Papua-Neuguinea. Foto aus Fabricius, K. E. et al.: Losers and winners in coral reefs acclimatized to elevated carbon dioxide concentrations. Nat. Clim. Chang. 1, 165–169 (2011).
Karte des Arbeitsgebiets mit Orten der Probennahme und Anganben zum pH-Gradienten. Grafik aus Fabricius, K. E. et al.: Losers and winners in coral reefs acclimatized to elevated carbon dioxide concentrations. Nat. Clim. Chang. 1, 165–169 (2011).
Korallenriff unter extremen pH-Werten im Arbeitsgebiet in Papua-Neuguinea. Foto aus Fabricius, K. E. et al.: Losers and winners in coral reefs acclimatized to elevated carbon dioxide concentrations. Nat. Clim. Chang. 1, 165–169 (2011).
Korallenriff mit mittleren pH-Bedingungen im Arbeitsgebiet in Papua-Neuguinea. Foto aus Fabricius, K. E. et al.: Losers and winners in coral reefs acclimatized to elevated carbon dioxide concentrations. Nat. Clim. Chang. 1, 165–169 (2011).