ROV KIEL 6000

Spezifikation & Logistik | Einsätze & Statistik | ROV-Team | Bildergalerie

FAT | ROVARK | ATA 1&2 | MSM10-3 | M78-2 | CE0913 | M80-3 | M81-2 | SO210 | ARK XXVI/2 | JC66 | JC67 | CE12010 | SO225 | SO229 | INDEX2013-2 | SONNE Test 7 | SO239 | SO242-2 | SO254 | PS108 | SO268 | SO276 | SO288 | SO295 | SO299 | M194 | PS143-1

 

Forschungsreise CE0913 mit RV CELTIC EXPLORER: SDNS – Fluid- und Gasaustritte in der südlichen deutschen Nordsee

Fahrtleitung: Dr. Peter Linke, IfM-Geomar, Kiel

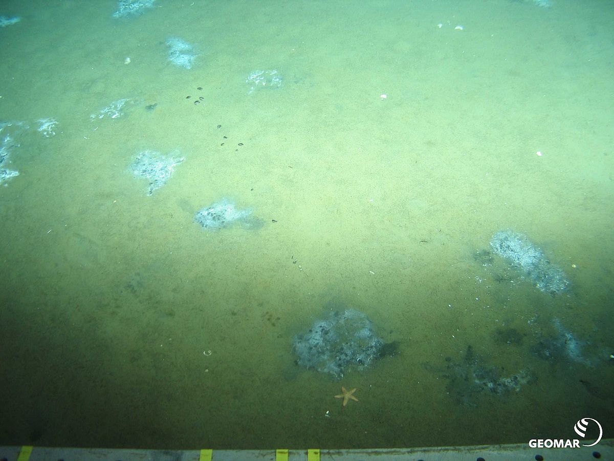
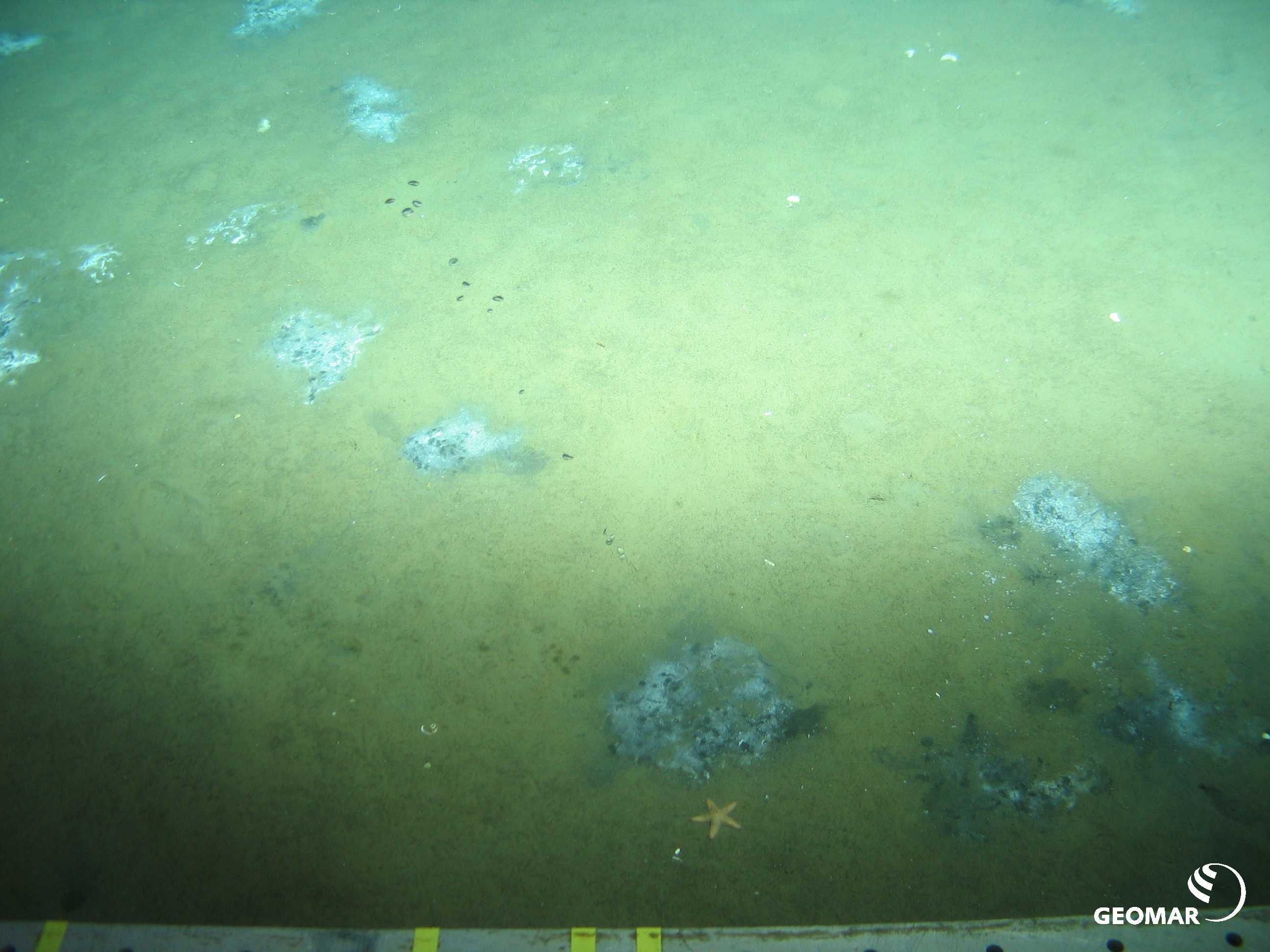
Die Expedition CE0913 mit der RV CELTIC EXPLORER wurde im Rahmen des Drittmittel-Projektes "Fluid- und Gasaustritte in der südlichen deutschen Nordsee" zwischen dem 27.7. und 14.8.2009 durchgeführt. Sie führte in die Flachwasserzone der Deutschen Bucht (vor Juist) sowie nach Tommeliten, einem Methan-Feld im norwegischen Sektor der Nordsee.

Das ROV KIEL 6000 war eines der Hauptgeräte und konnte insgesamt 14 wissenschaftliche Tauchgänge absolvieren. Wassertiefen lagen um 30 bzw. 80 m, und anstelle der Tiefseewinde kam unsere Flachwasserwinde zum Einsatz.

Fotos (sofern nicht anders vermerkt): ROV-Team GEOMAR; Anfragen zur Nutzung von Bildmaterial richten Sie bitte an Pressestelle GEOMAR oder Dr. James Taylor.

 

  •  

    Wissenschaftliche Leitung 

    Dr. James Taylor
    GEOMAR Helmholtz-Zentrum für Ozeanforschung Kiel
    Wischhofstr. 1-3
    24148 Kiel
    Tel.: 0431 600-2134
    Fax: 0431 600-2680
    E-mail: jtaylor(at)geomar.de


    Technische Leitung 

    Martin Pieper (Dipl. Ing.)
    GEOMAR Helmholtz-Zentrum für Ozeanforschung Kiel
    Wischhofstr. 1-3
    24148 Kiel
    Tel.: 0431 600-2688
    Fax: 0431 600-2680
    E-mail: mpieper(at)geomar.de