SAMPLING ON LAND Korallenriffe im Roten Meer
- Bereich:
- Rotes Meer
- Zeit:
-
16.09.2011 - 11.10.2011
- Institution:
- IFM-GEOMAR
- Leitung:
- Benjamin Kürten
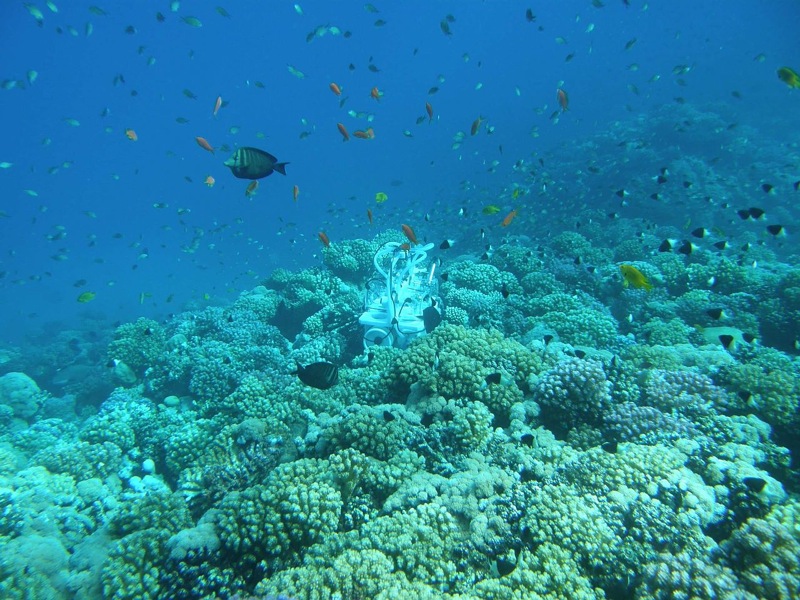
Das Rote Meer erstreckt sich über elf Breitengrade von Nord nach Süd. An seinen Küsten herrschen sehr unterschiedliche Verhältnisse in Bezug auf Nährstoffangebot, Wassertemperaturen und Salzgehalt. Das macht dieses Randmeer zu einem idealen Gebiet, um unterschiedliche Umwelteinflüsse auf tropische Korallenriffe zu untersuchen. Zu diesem Zweck bereisen vom 16. September bis 11. Oktober 2011 Meeresbiologen des Kieler Leibniz-Instituts für Meereswissenschaften (IFM-GEOMAR) zusammen mit Kollegen der King Abdulaziz University (KAU) in Jeddah die gesamte saudi-arabische Küste von Nord nach Süd.
Die Expedition teilt sich in zwei Arbeitsgruppen. Eine Gruppe, geleitet unter anderem von Dr. Benjamin Kürten vom IFM-GEOMAR und Dr. Ali Al-Aidaroos (KAU), untersucht dabei das Vorkommen von Plankton im Umfeld der Korallenriffe. Ziel ist es, die Dynamik der Nahrungsnetze in diesen Bereichen besser zu verstehen. Dazu sammeln die Wissenschaftler aus Deutschland und Saudi-Arabien Plankton- und Wasserproben.
Die zweite Untergruppe mit Dr. Yvonne Sawall vom IFM-GEOMAR and Dr. Abdulmohsin Al-Sofyani (KAU) untersucht parallel den Stoffwechsel der weit verbreiteten Hartkoralle Pocillopora verrucosa, indem sie mit speziellen Geräten, direkt an den Korallenstöcken Atmung sowie Photosynthese- und Kalkbildungsraten misst. Darüber hinaus nehmen die Wissenschaftler Gewebeproben für Genetikanalysen, um die Anpassung der Korallen an vorherrschende Umweltbedingungen untersuchen zu können. Das erlaubt Vorhersagen über die Auswirkungen menschlicher Einflüsse auf die Ökosysteme im Roten Meer.
Die Expedition ist Teil des Jeddah Transect Projekts.